• недела, 22 февруари 2026
Јамајка пријави 19 мртви по ураганот Мелиса

Јамајка пријави 19 мртви по ураганот Мелиса

Мексико Сити, 31 октомври 2025 (МИА) - Ураганот Мелиса одзеде најмалку 19 животи на карипскиот остро...

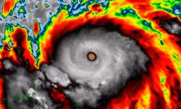
Ураганот Мелиса ја погоди Куба откако ја опустоши Јамајка

Ураганот Мелиса ја погоди Куба откако ја опустоши Јамајка

Хавана, 29 ноември 2025 (МИА) – Ураганот Мелиса денеска ја погоди Куба, предизвикувајќи големи попла...

Ураганот Мелиса остави хаос во Јамајка и се упати кон Куба

Ураганот Мелиса остави хаос во Јамајка и се упати кон Куба

Мексико Сити, 29 октомври 2025 (МИА) - Ураганот Мелиса вчера ја погоди Јамајка, предизвикувајќи поро...

Ураганот Мелиса попладнево треба да ја погоди Јамајка, тимовите за помош подготвени

Ураганот Мелиса попладнево треба да ја погоди Јамајка, тимовите за помош подготвени

Кингстон, 28 октомври 2025 (МИА) – Ураганот Мелиса попладнево треба да ја погоди Јамајка, откако во...

Седум лица загинаа во ураганот Мелиса кој се приближува кон западниот брег на Јамајка

Седум лица загинаа во ураганот Мелиса кој се приближува кон западниот брег на Јамајка

Кингстон, 28 октомври 2025 (МИА) - Седум лица загинаа досега во ураганот Мелиса, кој е оценет како н...

Ураганот Ерин донесе силни ветришта и поплави во Северна Каролина

Ураганот Ерин донесе силни ветришта и поплави во Северна Каролина

Вашингтон, 21 август 2025 (МИА) - Ураганот Ерин го погоди брегот на Северна Каролина со силни ветров...

Ураганот „Ерин“ се засили до четврта категорија

Ураганот „Ерин“ се засили до четврта категорија

Мајами, 18 август 2025 (МИА)  - Ураганот „Ерин“ денеска се засили до четврта категорија, според...

Ураганот „Ерин“ се засили до највисоката, петта категорија

Ураганот „Ерин“ се засили до највисоката, петта категорија

Вашингтон, 17 август 2025 (МИА) - Ураганот „Ерин“, првиот во Атлантскиот Океан за оваа сезона, се за...

Ураганот Ерин се засили во трета категорија со ветрови од 190 километри на час

Ураганот Ерин се засили во трета категорија со ветрови од 190 километри на час

Вашингтон, 16 август 2025 (МИА) - Ураганот Ерин, првиот од годинашната сезона на бури во Атлантскиот...

Ураганот Ерик се приближува кон Мексико

Ураганот Ерик се приближува кон Мексико

Мексико Сити, 19 јуни 2025 (МИА) - Центарот за урагани со седиште во Мајами соопшти дека Ерик е на о...

Во Финска првпат забележан ураган, илјадници домаќинства останаа без струја

Во Финска првпат забележан ураган, илјадници домаќинства останаа без струја

Хелсинки, 2  ноември 2024 (МИА) - На западот на Финска, првпат во историјата, ветерот достигна...

Валенсија побара да се одложи натпреварот од Копа дел Реј поради поплавите

Валенсија побара да се одложи натпреварот од Копа дел Реј поради поплавите

Валенсија, 30 октомври 2024 (МИА) - Валенсија поради поплава и ураган побара одложување на гостување...

Ураганот „Оскар“ ги погоди југоисточните Бахами и се движи кон Куба

Ураганот „Оскар“ ги погоди југоисточните Бахами и се движи кон Куба

Вашингтон, 20 октомври 2024 (МИА) - Ураганот „Оскар“ денеска ги погоди југоисточните Бахами и се упа...

Најмалку 1.600 луѓе и 140 животни спасени од ураганот на Флорида

Најмалку 1.600 луѓе и 140 животни спасени од ураганот на Флорида

Мајами, 11 октомври 2024 (МИА) – Гувернерот на Флорида Рон Де Сантис денеска изјави дека досега најм...

Флорида: Поради ураганот Милтон, нивото на морето е повисоко за 150 до 300 сантиметри

Флорида: Поради ураганот Милтон, нивото на морето е повисоко за 150 до 300 сантиметри

Мајами, 11 октомври 2024 (МИА) – Според прелиминарните проценки на Националниот центар за урагани, у...

Image

Остани поврзан