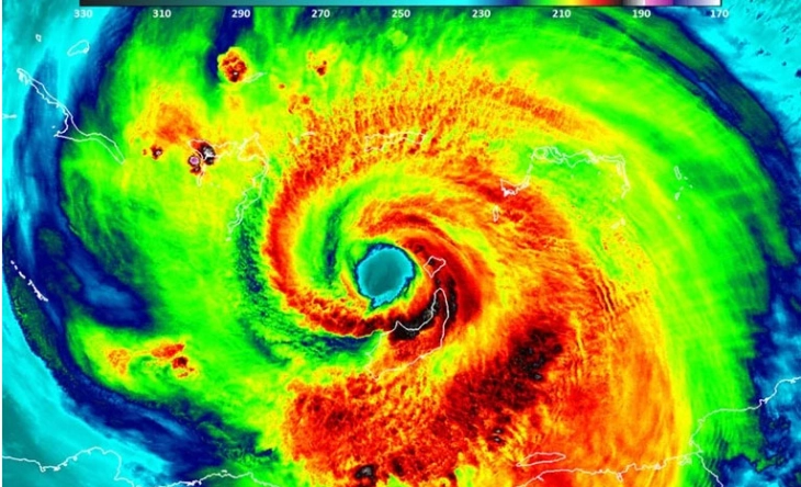
Ураганот Ерик се приближува кон Мексико
- Центарот за урагани со седиште во Мајами соопшти дека Ерик е на околу 110 километри западно од Пуерто Анхел, Мексико.
Мексико Сити, 19 јуни 2025 (МИА) - Центарот за урагани со седиште во Мајами соопшти дека Ерик е на околу 110 километри западно од Пуерто Анхел, Мексико.
-Ураганот Ерик се засили на јачина од категорија 4 додека се приближува кон тихоокеанскиот брег на јужен Мексико денеска, соопшти Националниот центар за урагани на САД.
Метрополозите предвидуваа дека ураганот ќе донесе обилни врнежи од дожд што би можеле да доведат до ненадејни поплави.
Центарот за урагани со седиште во Мајами соопшти дека Ерик е на околу 110 километри западно од Пуерто Анхел, Мексико, и околу 145 километри југоисточно од Пунта Малдонадо, Мексико.
Мексиканската претседателка Клаудија Шајнбаум изјави во видео порака синоќа дека сите активности во регионот што се очекува да биде погоден од ураганот се суспендирани и ги повика луѓето да останат во своите домови или да се преселат во засолништа ако живеат во ниски подрачја. мс/
фото: МИА архива