Ураганот „Мелиса“ достигна петта категорија, најсилен удар се очекува на Јамајка
- Јамајканските власти му наложија на населението да се евакуира, предупредувајќи дека времето за подготовки за ударот на стихијата „веќе е речиси истечено“.
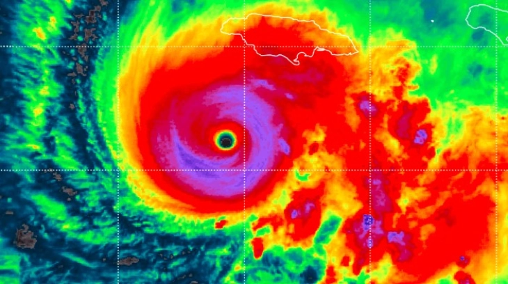
Кингстон, 27 октомври 2025 (МИА) - Ураганот „Мелиса“, кој се приближува кон Јамајка, денеска ја достигна петтата, најсилна категорија на разорност и се очекува на оваа островска држава во Карипското Море да предизвика катастрофални поплави, одрони и штети.
Јамајканските власти му наложија на населението да се евакуира, предупредувајќи дека времето за подготовки за ударот на стихијата „веќе е речиси истечено“.
Според медиумите, „Мелиса“ ќе биде најсилниот ураган што ќе го погоди островот од 1851 година, кога почнале мерењата од овој вид. Претходниот најкатастрофален ураган што ја погоди Јамајка беше „Гилберт“ во 1988 година, кој однесе 40 жртви.
„Мелиса“ веќе однесе шест жртви на Карибите додека се приближува кон островот, каде ќе влезе утре. Истиот ден ќе стигне и до Куба, а потоа ќе се упати кон Бахамските Острови. Не се очекува да стигне до бреговите на САД.
На Јамајка, населението во седум области доби наредба да се евакуира. Сепак, некои луѓе одлучиле да останат. Силата на „Мелиса“ се удвои во текот на викендот. ссм/